Ferguson Dechert Real Estate - Avalon and Stone Harbor Call Menu
 
BACK TO SEARCH RESULTS
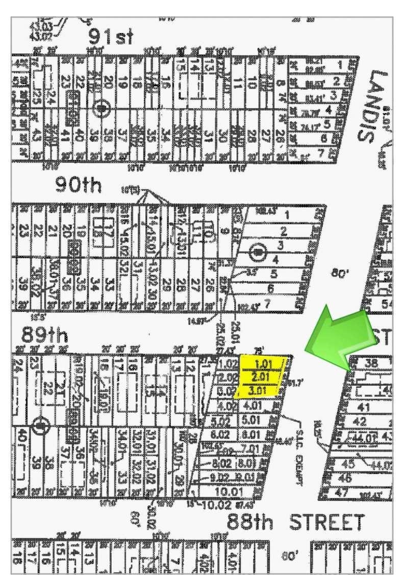
8815 Landis Avenue, Sea Isle City, NJ
https://zimg
VIEW ALL PICTURES
For Sale: $1,750,000
Bedrooms: 3     Bathrooms: 2
Half Baths: 0
Type: Single Family
    LOT: 4,147
Taxes 5231
Area: Sea Isle City
REQUEST INFORMATION
PROPERTY DESCRIPTION
Unbeatable Corner Location Rarely available prime, peaceful South End location in Townsends Inlet. Corner lot offering only one direct residential neighbor as property sits adjacent to a municipal lot offering a North side privacy buffer from future development. One block walk to the beach and bay. Classic shore retreat home with three bedrooms and two baths along with valuable off-street parking for three cars. Home available for immediate occupancy or a prime building opportunity. In a market where inventory for single-family home development remains tight and demand for protected views is at an all-time high, this property stands out as a top-tier investment.
PROPERTY FEATURES
  • Deck 
  • Enclosed/Covered Patio 
  • Storage Building 
  • Outside Shower 
  • Living Room 
  • Den/TV Room 
  • Eat-In-Kitchen 
  • Storage Attic 
  • Laundry Closet 
  • Self-Clean Oven 
  • Microwave Oven 
  • Refrigerator 
  • Washer 
  • Dryer 
  • Dishwasher 
  • Disposal 
  • Stove Natural Gas 
  • Heating:Gas Natural 
  • Heating:Baseboard 
  • 3 Car 
  • Stone Driveway 
  • Heater:Gas- Natural 
  • Cooling:Attic Fan 
  • Cooling:Wall Air Conditioning 
  • Cooling:Window Air Conditioning 
PROPERTY MAP VIEW
https://zimg
https://zimg
https://zimg
https://zimg
https://zimg

Request Property Information - 8815 Landis Avenue, Sea Isle City NJ

  For Sale: $1,750,000   |   MLS Number: 260199  
Lot: 1 to 6000 SqFt | DOM: 4 Days  
Provided by: Ferguson Dechert Real Estate - www.fdrealestate.com/

(Information Above Will Appear at the Top of the Email that is Sent to Ferguson Dechert Real Estate)

SUBMIT
Let Ferguson Dechert Real Estate be your buyer agent for this listing. Listing is provided by REALMART REALTY. The data relating to real estate for sale on this web page appears in part through the Cape May County MLS program, a voluntary cooperative exchange of property listing data between licensed real estate brokerage firms in which we participate, and is provided by Cape May County MLS through a licensing agreement. Disclaimer: All information deemed reliable but not guaranteed and should be independently verified. All properties are are subject to change, withdrawal, or prior sale.
FD Real Estate
2789 Dune Drive, Avalon New Jersey Call The Office